Aydın’da iki bölge daha sit alanı ilan edildi
Aydın Kültür Varlıklarını Koruma Bölge Kurulu tarafından alınan karar doğrultusunda, Aydın’ın Çine ilçesinde bulunan iki ayrı bölgede tespit edilen arkeolojik kalıntılar nedeniyle 1. ve 3. derece arkeolojik sit alanı ilan edildi.
Aydın Kültür Varlıklarını Koruma Bölge Kurulu'nun aldığı ve Resmi Gazete'de yayımlanan karara göre, Çine ilçesine bağlı Özerler ve Altınova mahalleleri sınırlarında bulunan çok sayıda parselde yapılan incelemelerde, Kale Tepe Arkeolojik Yerleşimi ve Nekropol Alanı tespit edildi.
İncelemelerde, yerleşime ve nekropol alanına ait arkeolojik bulguların bulunduğu, bu alanların 2863 sayılı Kültür ve Tabiat Varlıklarını Koruma Kanunu kapsamında korunması gereken taşınmaz kültür varlığı niteliği taşıdığı için 1. ve 3. derece arkeolojik sit alanı ilan edilmesine karar verildi.

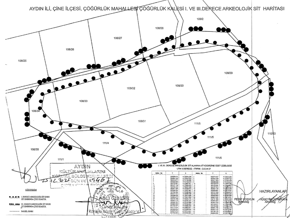
Kurulun aldığı bir diğer kararda ise Çine ilçesi Çöğürlük Mahallesi sınırları içerisinde bulunan ve daha önce 1. derece arkeolojik sit olarak tescil edilen Çöğürlük Kalesi’nin, yapılan yeni incelemeler sonucu çevresindeki alanlarla birlikte 1. ve 3. derece arkeolojik sit alanı özelliği taşıdığı tespit edildi. 2863 sayılı Kültür ve Tabiat Varlıklarını Koruma Kanunu kapsamında korunması gereken taşınmaz kültür varlığı niteliği taşıdığı için bu alanlarda 1. ve 3. derece arkeolojik sit alanı ilan edildi.

Kaynak:Nazilli Havadis


Türkçe karakter kullanılmayan ve büyük harflerle yazılmış yorumlar onaylanmamaktadır.