Aydın'da tarihi yapılar koruma altına alındı
Aydın'ın Çine ilçesinde bulunan bazı açık sarnıç ve çeşmeler ile bir cami haziresi, korunması gerekli taşınmaz kültür varlığı olarak tescillendi.
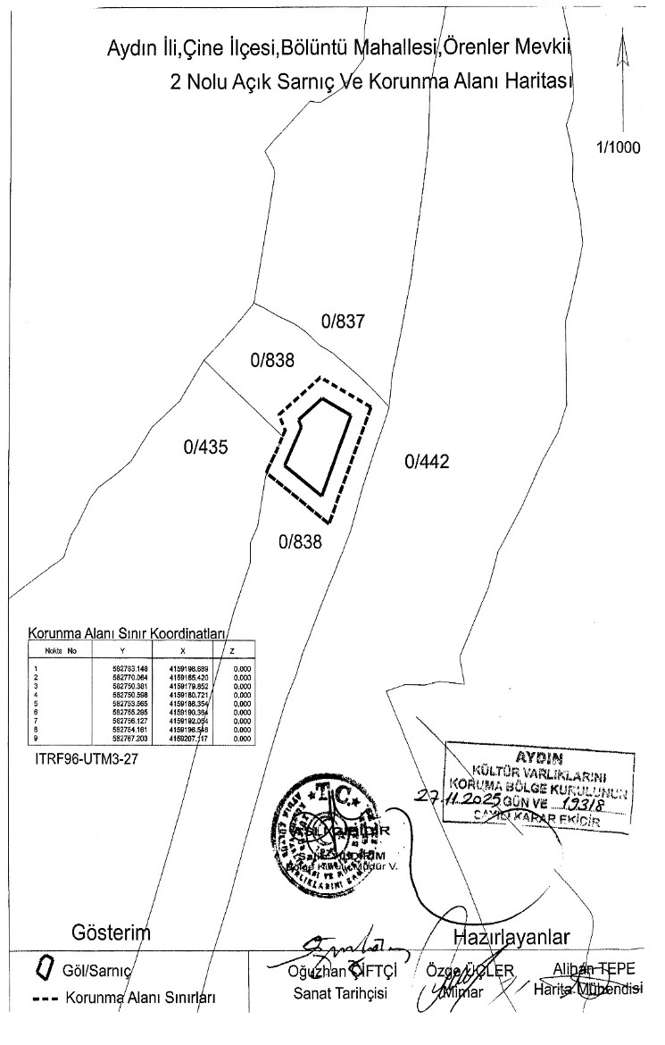
Aydın Kültür Varlıklarını Koruma Bölge Kurulu, Çine ilçesine bağlı Bölüntü, Cumalı ve Kasar mahallelerinde sit alanı dışında yer alan bazı taşınmazlara ilişkin yapılan başvuruları değerlendirdi. Kurul, özel mülkiyete ait parsellerde bulunan iki açık sarnıç yapısı ile Kasar Mahallesi’ndeki bir çeşme ve Cumalı Mahallesi’ndeki tescilsiz cami haziresinin 2863 sayılı Kültür ve Tabiat Varlıklarını Koruma Kanunu kapsamında korunması gerekli taşınmaz kültür varlığı olduğuna karar verdi.
Karar doğrultusunda söz konusu yapıların tescili uygun bulunurken, açık sarnıç ve çeşme yapılarının koruma grubu “1. grup yapı” olarak belirlendi.
Tapu kütüklerinin beyanlar hanesine “Korunması gerekli kültür varlığıdır.” şerhi işlenecek. Bazı taşınmazlar için ayrıca “1. grup yapı”, “Tamamı korunma alanında kalmaktadır.” veya “Bir bölümü korunma alanında kalmaktadır.” şeklinde belirtmeler yapılacak.
Kurul kararına göre, tescilli taşınmazlar ve belirlenen korunma alanlarında yapılacak her türlü uygulama öncesinde ilgili mevzuat kapsamında izin alınması zorunlu olacak. Ayrıca tescillenen çeşmeye ilişkin rölöve, restitüsyon ve restorasyon projelerinin hazırlanarak Kurula sunulması istendi.


Kaynak:Nazilli Havadis


Türkçe karakter kullanılmayan ve büyük harflerle yazılmış yorumlar onaylanmamaktadır.