Aydın'ın o ilçesinde TOKİ kura çekimine gerek kalmadı
Buharkent ilçesinde TOKİ tarafından yapılacak 268 konut projesine ilişkin paylaşımda bulunan Belediye Başkanı Mehmet Erol, “Yapılacak konut sayısından daha az başvuru olduğu için, kura çekimine gerek kalmadan şartları taşıyan tüm vatandaşlarımızın TOKİ konutları çıkmıştır.” dedi.
TOKİ Aydın kura sonuçları için heyecan sona erdi. ‘İlk Evim İlk İş Yerim Projesi’nde Aydın TOKİ kura çekilişi 31 Ocak 2023 tarihinde gerçekleşti.
Pazartesi günü tamamlanan TOKİ Aydın Merkez, Söke, Nazilli, İncirliova kura çekimi sonrasında konutlar hak sahiplerini buldu.
Buharkent ilçesinde yapılacak 268 konut için ise, başvuru sayısı, konut sayısını geçmedi. Böylelikle şartları taşıyan tüm vatandaşlar ev sahibi oldu.
“Hayırlı olsun”
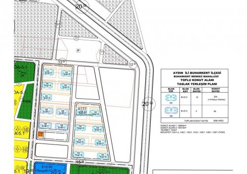
266 kişinin başvuruda bulunduğu bilgisini paylaşan Belediye Başkanı Mehmet Erol, “Yapılacak konut sayısından daha az başvuru olduğu için, kura çekimine gerek kalmadan şartları taşıyan tüm vatandaşlarımızın TOKİ konutları çıkmıştır. Taslak Yerleşim Planı’nda görüldüğü üzere, üniversitemiz ve deve güreşi sahamızın kuzey kısmında 268 konut yapılacaktır. Buharkentli hemşehrilerimize hayırlı uğurlu olsun.



Türkçe karakter kullanılmayan ve büyük harflerle yazılmış yorumlar onaylanmamaktadır.