Peyzaj çalışmasında tarih çıktı: O bölge site alanı ilan edildi
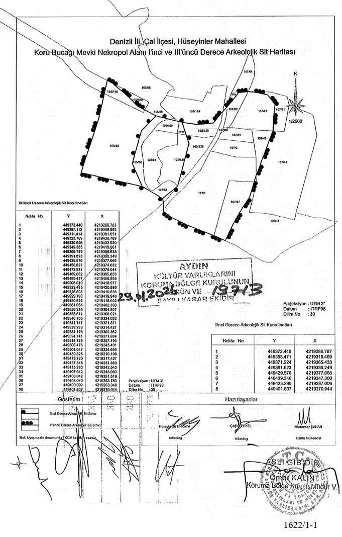
Denizli'nin Çal ilçesi İsmailler Mahallesi’nde Denizli Büyükşehir Belediyesinin yaptığı peyzaj çalışmaları sırasında bulunan mezar stelinin ardından yapılan incelemelerde, Roma, Geç Roma ve Bizans dönemlerine ait seramik ve mezar izlerine rastlandı. Bulgular üzerine bölge, "Koru Bucağı Nekropolü" adıyla 1. ve 3. derece arkeolojik sit alanı olarak tescillendi.
Denizli’nin Çal ilçesinde yürütülen peyzaj çalışmaları sırasında bulunan bir mezar stelinin Hierapolis Arkeoloji Müzesi’ne taşınmasının ardından bölgede yapılan incelemeler, yeni bir arkeolojik alanın varlığını ortaya çıkardı. Stelinin bulunduğu noktadaki toprağın başka bir alandan getirildiğinin tespit edilmesi üzerine ekipler, toprağın alındığı Hüseyinler Mahallesi’ndeki taşınmazlarda araştırma yaptı.
İncelemelerde Roma, Geç Roma ve Bizans dönemlerine ait seramik kap parçaları, pithos kalıntıları ve kiremit parçaları ile bazı alanlarda kiremit çatılı mezar izlerine rastlandı. Bulguların, bölgede nekropol (mezarlık alanı) niteliğinde bir arkeolojik sit potansiyeline işaret ettiği değerlendirildi.
Aydın Kültür Varlıklarını Koruma Bölge Kurulu’nun kararıyla, Hüseyinler Mahallesi’nde belirlenen alan “Koru Bucağı Nekropolü” adıyla I. ve III. Derece arkeolojik sit alanı olarak tescil edildi. Tescil çalışmaları tamamlanana kadar bölgede herhangi bir inşai ya da fiziki müdahalede bulunulmaması, her türlü uygulama için kurul izni alınması gerektiği bildirildi.

Kaynak:Nazilli Havadis


Türkçe karakter kullanılmayan ve büyük harflerle yazılmış yorumlar onaylanmamaktadır.